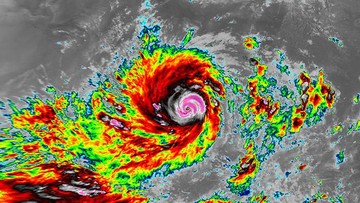
Siklon Tropis Grant Lahir di Dekat Lampung, Waspada Gelombang Tinggi

BMKG mengumumkan lahirnya Siklon Tropis Grant di Samudra Hindia. Siklon ini berpotensi meningkatkan gelombang laut di pesisir selatan Indonesia.