Collector
Siêu bão Sinlaku đang mạnh nhất thế giới năm 2026 | Collector
Siêu bão Sinlaku đang mạnh nhất thế giới năm 2026
Kenh14

Siêu bão Sinlaku đang mạnh nhất thế giới năm 2026

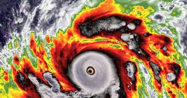
Tối 12/4, bão Sinlaku đang hoạt động ngoài khơi xa của Philippines đã mạnh lên thành siêu bão, trở thành cơn bão mạnh nhất thế giới từ đầu năm 2026.

Go to News Site