Collector
Sinlaku trở thành siêu bão, mạnh nhất thế giới từ đầu năm đến hiện tại | Collector
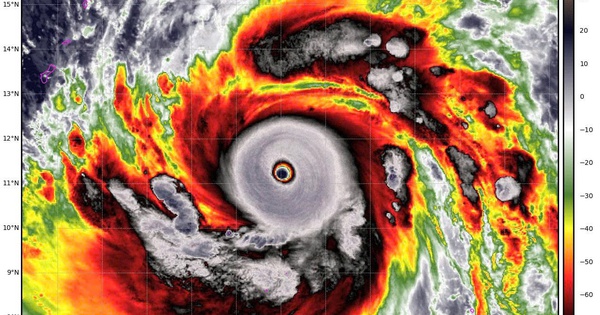
Sinlaku trở thành siêu bão, mạnh nhất thế giới từ đầu năm đến hiện tại
Báo Người Lao Động

Sinlaku trở thành siêu bão, mạnh nhất thế giới từ đầu năm đến hiện tại

(NLĐO) - Tối 12-4, Sinlaku đã đạt cấp siêu bão, trở thành cơn bão mạnh nhất thế giới từ đầu năm 2026 đến nay

Go to News Site