Collector
Sinlaku trở thành siêu bão, mạnh nhất thế giới từ đầu năm đến hiện tại | Collector
Sinlaku trở thành siêu bão, mạnh nhất thế giới từ đầu năm đến hiện tại
Soha

Sinlaku trở thành siêu bão, mạnh nhất thế giới từ đầu năm đến hiện tại

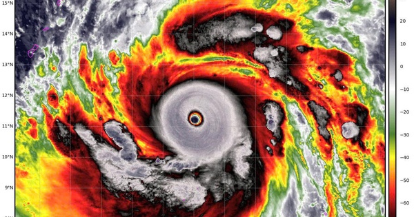
Tối 12-4, Sinlaku đã đạt cấp siêu bão, trở thành cơn bão mạnh nhất thế giới từ đầu năm 2026 đến nay.

Go to News Site