Collector
Siêu bão Sinlaku tiếp tục mạnh thêm, gió lên tới 212km/h | Collector
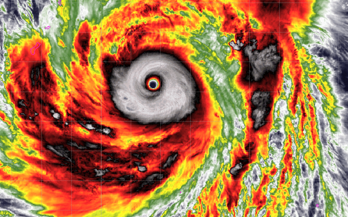
Siêu bão Sinlaku tiếp tục mạnh thêm, gió lên tới 212km/h
Tuổi Trẻ

Siêu bão Sinlaku tiếp tục mạnh thêm, gió lên tới 212km/h

Đêm qua đến sáng sớm nay, sức gió mạnh nhất vùng gần tâm siêu bão Sinlaku tiếp tục tăng lên 115kts (212km/h), tương đương cấp 17, giật trên cấp 17.

Go to News Site