Collector
Siêu bão Sinlaku đổi hướng, liệu có vào Biển Đông? | Collector
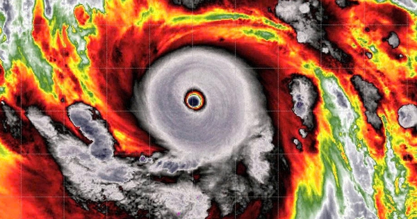
Siêu bão Sinlaku đổi hướng, liệu có vào Biển Đông?
Soha

Siêu bão Sinlaku đổi hướng, liệu có vào Biển Đông?

Cơ quan khí tượng đưa ra nhận định về đường đi của siêu bão Sinlaku, đồng thời dự báo xác suất siêu bão đi vào Biển Đông.

Go to News Site