✕
CURRENT NEWS
SPORTS
MAGAZİNE
SCİENCE
BUSİNESS
TRAVEL
AUTOMOBİLE
TECHNOLOGY
風王辛樂克「強度達巔峰」 路徑大迴轉 | Collector
ETtoday
風王辛樂克「強度達巔峰」 路徑大迴轉
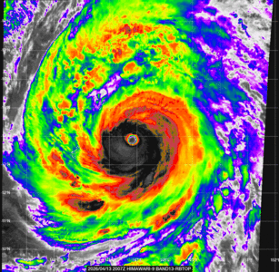
辛樂克強度達巔峰!氣象專家吳德榮表示,最新歐洲系集模式模擬,強烈颱風辛樂克未來將在日本南方海面大迴轉,距台灣及日本皆相當遠,路徑不侵台,與氣候資料相符合。 《詳全文...》
Go to News Site